Jezero Sadská získá významnou populaci dravých ryb

V důsledku opakovaných úhynů ryb v posledních letech na revíru 411 133 jezero Sadská, bylo zavedeno hned několik opatření, která by měla v budoucnu přispět ke zlepšení kvality vody, jež je každým rokem silně zasažena masou sinic.
V první řadě budou v průběhu letošního roku na jezeře instalovány provzdušňovací aerátory, které zakoupí Středočeský územní svaz.
Ruku v ruce tomuto opatření byly na základě rozhodnutí členské chůze MO Nymburk zavedeny nové BPVRP, konkrétně zejména všeobecný zákaz lovu dravých ryb po dobu dvou let (2026–2027). Toto opatření by mělo přispět ke snížení značného množství bílé ryby v jezeře.
Zároveň se na revíru do denního limitu ponechaných ryb nezapočítávají tyto druhy: karas stříbřitý, hlaváčovití (Gobiidae), sumečci (Ictaluriade), invazivní nepůvodní druhy na unijním seznamu (střevlička východní, slunečnice pestrá, hlavačka mramorovaná, sumeček černý) a dále také cejn velký, cejnek malý, plotice obecná, perlín ostrobřichý, ouklej obecná a ježdík obecný.
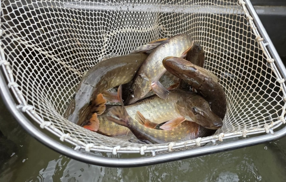
Na základě výše uvedených změn, rozhodl výbor SÚS o dotaci v podobě zarybnění 100 kg okouna, 100 kg štiky a 10 000 ks rychlené štiky, a to po dobu dvou let, kdy je na revíru vyhlášen všeobecný zákaz lovu dravých ryb. Jedná se tak o další podpůrný krok ze strany Středočeského územního svazu ke zlepšení kvality vody v jezeře, zachování a záchraně tohoto hojně navštěvovaného revíru.
Velké poděkování patří SÚS nejen za tento krok, ale i za to, jak po celou dobu k řešení situace kolem jezera Sadská přistupuje.
Jakub Kemr, hospodář MO Nymburk



